Saltar al reproductor
Saltar al contenido principal
Buscar
Iniciar sesión
Ver en pantalla completa
Me gusta
Añadir marcador
Compartir
Más
Añadir a la lista de reproducción
Denunciar
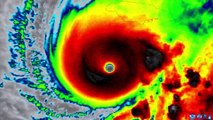
El huracán Melissa toca tierra en Westmoreland, Jamaica (CIRA)
elDiario.es
Seguir
hace 13 horas
Categoría
🗞
Noticias
Sé la primera persona en añadir un comentario
Añade tu comentario
Recomendada
1:48
|
Próximamente
Clima México lunes 27 de octubre: se acerca frente frío 11, lluvias y ambiente cálido en el país
El Economista
hace 2 días
0:10
El recorrido del huracán Melissa en las últimas horas hasta tomar tierra en Jamaica (CIRA).
elDiario.es
hace 13 horas
0:36
El Caribe se prepara para el impacto del huracán Melissa
elDiario.es
hace 18 horas
0:31
Las tormentas en Zaragoza inundan las carreteras
elDiario.es
hace 1 año
0:57
Masificación en los búnkeres del Carmel (Barcelona)
elDiario.es
hace 3 años
0:44
Devoluciones en caliente en la valla de Melilla
elDiario.es
hace 3 años
0:28
El río Kadagua, a su paso por la localidad vizcaína de Balmaseda
elDiario.es
hace 2 años
1:00
Simulación del tsunami y las ondas sísmicas en el fiordo de Dickson
elDiario.es
hace 1 año
0:21
Tiburón en Illa de Arousa
elDiario.es
hace 2 años
1:29
Ecos del océano
elDiario.es
hace 8 meses
0:22
Incendio en Pombeiro, Pantón, grabado desde el aire por la brigada de extinción
elDiario.es
hace 6 semanas
0:35
Aldaia, tras las lluvias de anoche
elDiario.es
hace 1 año
0:21
El avión de Air Canada averiado aterriza en Barajas
elDiario.es
hace 6 años
1:14
Tiburones Pintartarrojas muertos en la bocana del puerto de Getaria
elDiario.es
hace 2 años
1:33
Funcionamieno de los depósitos anti tormenta en Barcelona el 4 de noviembre
elDiario.es
hace 1 año
1:42
Vista aérea del puente derrumbado en Talavera
elDiario.es
hace 7 meses
0:26
Entonan el 'Bella Ciao' climático en la COP25
elDiario.es
hace 6 años
2:22
Mazón vuelve a cargar contra la Confederación Hidrográfica del Júcar
elDiario.es
hace 1 año
0:12
Los efectos de las inundaciones en Balears
elDiario.es
hace 1 año
0:27
Feijóo se vuelve a liar y confunde una isla canaria con una ciudad mallorquina
elDiario.es
hace 2 años
2:01
Imágenes de barcos anclados sobre praderas de posidonia
elDiario.es
hace 3 años
0:41
Grandes precipitaciones en el desierto del Sáhara
elDiario.es
hace 1 año
2:11
Así ha sido la tormenta Ciarán a su paso por la península
elDiario.es
hace 2 años
1:46
Milei sorprende con claro triunfo en legislativas de Argentina y Trump lo celebra
El Economista
hace 2 días
1:19
Melissa se fortalece a huracán categoría 5: ¿Cuál es su trayectoria?
El Economista
hace 2 días
Sé la primera persona en añadir un comentario