Skip to player
Skip to main content
Search
Connect
Watch fullscreen
Like
Bookmark
Share
More
Add to Playlist
Report
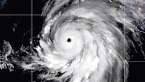
Time-Lapse Of What A Powerful Bomb Cyclone Storm Forming Looks Like
Space.com
Follow
8 months ago
What a storm looks like through the NOAA's GOES-West satellite.
Credit: CIRA / NOAA | edited by Steve Spaleta
Category
🤖
Tech
Transcript
Display full video transcript
00:00
♪♪
00:10
♪♪
00:20
♪♪
00:30
♪♪
00:40
♪♪
00:50
♪♪
01:00
♪♪
Be the first to comment
Add your comment
Recommended
1:11
|
Up next
Time-Lapse Of A Powerful Bomb Cyclone Storm Forming
Space.com
2 years ago
1:08
Amazing Satellite Time-Lapse Shows Hurricane Hilary Turning Into A Category 4 Storm
Space.com
2 years ago
1:07
Tropical Storm Hilary From Space In This 2-Day Satellite Time-Lapse
Space.com
1 year ago
1:10
Time-Lapse: Hurricane Helene Tracked From Space
Space.com
10 months ago
1:09
Amazing Time-Lapse Of Hurricane Francine Barrelling Towards Louisiana
Space.com
11 months ago
2:20
Monarch Butterflies Are Endangered Species Now
Live Science
3 hours ago
3:07
Does The Earth Have A Pulse?
Live Science
4 hours ago
1:23
It’s A Snake Eat Snake World Out There
Live Science
4 hours ago
0:42
The 'Jurassic World Rebirth' Cast Is Just As Obsessed With Dolores As We Are #shorts
Cinema Blend
3 hours ago
0:54
Michael Keaton Shares A Funny Story About Accidentally Spoiling Batman ‘89 During A David Letterman Appearance
Cinema Blend
3 hours ago
1:14
Julie Bowen Reacts To Her Famous Happy Gilmore Lingerie Scene (And Its Big Return In The Sequel)
Cinema Blend
4 hours ago
1:15
German Def Min Pistorius: 'Russian Federation is the greatest and most immediate threat to NATO'
euronews (in English)
4 hours ago
2:42
As Gaza aid flotilla heads to the Strip, MEP onboard wants to 'pressure' Israel
euronews (in English)
6 hours ago
1:00
Sudden heavy rains trigger rescues and evacuations in northern Spain
euronews (in English)
8 hours ago
3:44
Learn About: NASA's Lucy Spacecraft Flyby With Asteroid Donaldjohanson
Space.com
48 minutes ago
1:13
Time-Lapse Of Sliver Of Cygnus Loop Nebula In Hubble Telescope
Space.com
48 minutes ago
1:06
Firefly's Blue Ghost On Moon Seen By Lunar Reconnaissance Orbiter
Space.com
48 minutes ago
1:03
Comet Atlas Travelling Close Into Sun Captured By Spacecraft
Space.com
48 minutes ago
0:30
Stunning Globular Cluster NGC 6355 Captured By Hubble
Space.com
2 hours ago
1:06
James Webb Space Telescope Detects Coldest Ices Measured To Date In A Molecular Cloud
Space.com
2 hours ago
1:06
View Of Huge Galaxy Cluster Via Webb And Hubble Telescopes
Space.com
2 hours ago
1:07
Watch The R Aquarii Binary Star System Evolve In Hubble Imagery Time-Lapse
Space.com
2 hours ago
0:39
OTD in Space - September 29: Salyut 6 Space Station Launch
Space.com
2 hours ago
1:22
Mars Ingenuity Helicopter Accident Investigation Reveals Likely Cause Of Crash
Space.com
2 hours ago
1:40
NASA DART Spacecraft And Spinning SpaceX Booster Seen From Earth
Space.com
2 hours ago
Be the first to comment